北蔡和三林的小伙伴们看过来,你们家附近将新增配套道路——北蔡镇老集镇、同福村和三林镇东明村“城中村”配套项目新浦路(盛苑路~浦三路)。这条路具体位置在哪?连接哪些地方?道路长度是多少?一起来看↓
北蔡镇老集镇、同福村和
三林镇东明村“城中村”
配套项目新浦路(盛苑路~浦三路)
新建工程
项目介绍
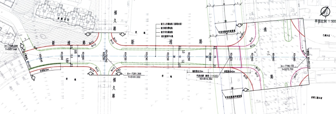
项目基地处于浦东新区新里城居住区,道路西起盛苑路,东至浦三路

建设单位
上海浦发御湾房地产开发有限公司
建设内容
道路长度267米,道路红线宽度20米,道路等级为城市支路

即将新建的新浦路连接起
盛苑路和浦三路,
穿过福久路。
这条配套道路的建成将进一步
优化完善新里城居住区的交通网络,
居住、工作在附近的市民们
出行将更加便利!
(供稿:浦东规土)