好消息!

为了便捷“北蔡镇老集镇、同福村和三林镇东明村‘城中村’配套项目”的居民日常出行,现规划新建东西向和南北向的城市支路各一条,项目规划设计方案正在公示中,跟着小布一起来了解更多详情吧↓
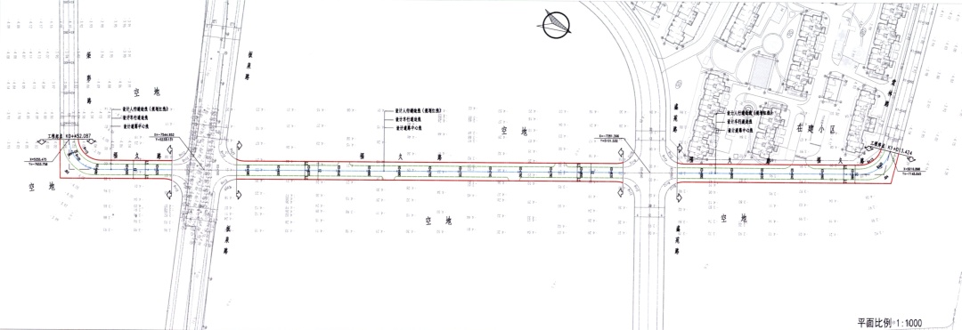
福久路(荣彩路~棠林路)新建工程

项目介绍
项目基地处于浦东新区新里城居住区,道路:
▷ 南起规划荣彩路
▷ 北至规划棠林路
规划依据:新里城居住区控制性详细规划(调整)(浦府[2002]75号)
建设单位
上海浦发御湾房地产开发有限公司
项目名称
北蔡镇老集镇、同福村和三林镇东明村"城中村"配套项目福久路(荣彩路~棠林路)新建工程
建设内容
道路长度:483米
道路宽度:12米
道路等级:城市支路
福久路(荣彩路~棠林路)道路标准横断面设计图

棠林路(福叠路~福久路)新建工程

项目介绍
项目基地处于浦东新区新里城居住区,道路:
▷ 东起规划福久路
▷ 西至规划福叠路
规划依据:新里城居住区控制性详细规划(调整)(浦府[2002]75号)
建设单位
上海浦发御湾房地产开发有限公司
项目名称
北蔡镇老集镇、同福村和三林镇东明村"城中村"配套项目棠林路(福叠路~福久路)新建工程
建设内容
道路长度:167米
道路宽度:12米
道路等级:城市支路
棠林路(福叠路~福久路)道路标准横断面设计图


公示详情
公示日期:2021年3月12日至3月21日
采取网上和现场同步公示的方式
现场公示地址:项目建设地块围墙等
公示网址:http://www.pudong.gov.cn/gtj/
公示采取书面信函方式听取公众意见
收集意见的信函请寄:浦东新区邹平路161号,邮编:200126,请在信函封面名称上注明“项目方案公示意见”。
责任编辑 徐玲
来源 浦东发布