依据《上海市建设工程设计方案规划公示规定》的要求,由宝山区规划和自然资源局监督,共康五村175号多层住宅、三门路485弄82号单元多层住宅等4处住宅加装电梯工程项目设计方案正在公示。

共康五村175号多层住宅加装电梯项目
公示现场地点:共康五村小区公示栏
公示期限:2020年8月20日至2020年8月29日
收集意见截止期:2020年9月5日
意见反馈途径:
(1)宝山区规划和自然资源局,通讯地址:宝山区宝林路45号105室,邮政编码:201999,电子信箱:fangangongshi@163.com(邮件名称、主题中应标明公示名称)
(2)上海市宝山区庙行镇人民政府信访办,通讯地址:上海市宝山区长江西路2699弄,邮政编码:200443,电子信箱:mhz-zzxx@163.com(邮件名称、主题中应标明公示名称),电话:021-66988029
项目情况咨询:
上海市宝山区共康五村小区业主委员会,通讯地址:上海市宝山区共康五村235号,邮编:200435,电子邮箱:565412892@163.com

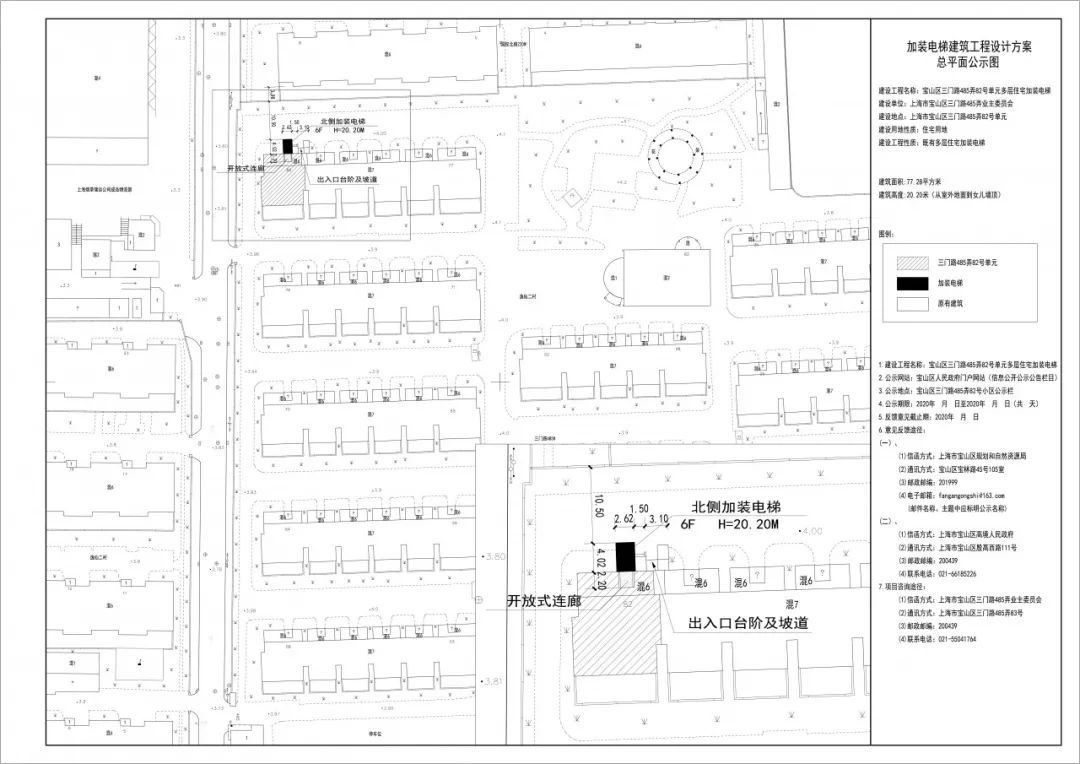
三门路485弄82号单元多层住宅加装电梯项目
公示现场地点:三门路485弄82号小区公示栏
公示期限:2020年8月20日至2020年8月29日
收集意见截止期:2020年9月5日
意见反馈途径:
(1)宝山区规划和自然资源局,通讯地址:宝山区宝林路45号,邮政编码:201999,电子信箱:fangangongshi@163.com(邮件名称、主题中应标明公示名称)
(2)宝山区高境镇人民政府,通讯地址:上海市宝山区殷高西路111号,邮政编码:200439,联系电话:021-66185226
项目情况咨询:
上海市宝山区三门路485弄业主委员会,联系电话:021-55041764,通讯地址:上海市宝山区485弄83号,邮政编码:200439

吉浦路615弄57号单元多层住宅加装电梯项目
公示现场地点:吉浦路615弄57号小区公示栏
公示期限:2020年8月20日至2020年8月29日
收集意见截止期:2020年9月5日
意见反馈途径:
(1)宝山区规划和自然资源局,通讯地址:宝山区宝林路45号,邮政编码:201999,电子信箱:fangangongshi@163.com(邮件名称、主题中应标明公示名称)
(2)宝山区高境镇人民政府,通讯地址:上海市宝山区殷高西路111号,邮政编码:200439,联系电话:021-66185226
项目情况咨询:
上海市宝山区吉浦路615弄业主委员会,联系电话:021-55035482,通讯地址:上海市宝山区吉浦路615弄4号105室,邮政编码:200439

吉浦路615弄116号单元多层住宅加装电梯项目
公示现场地点:吉浦路615弄116号小区公示栏
公示期限:2020年8月20日至2020年8月29日
收集意见截止期:2020年9月5日
意见反馈途径:
(1)宝山区规划和自然资源局,通讯地址:宝山区宝林路45号,邮政编码:201999,电子信箱:fangangongshi@163.com(邮件名称、主题中应标明公示名称)
(2)宝山区高境镇人民政府,通讯地址:上海市宝山区殷高西路111号,邮政编码:200439,联系电话:021-66185226
项目情况咨询:
上海市宝山区吉浦路615弄业主委员会,联系电话:021-55035482,通讯地址:上海市宝山区吉浦路615弄4号105室,邮政编码:200439

编辑:程岑
