

@嘉定的小伙伴
徐行镇将新建道路及桥梁
具体如下↓
建设单位
上海市嘉定区徐行镇人民政府
建设项目名称
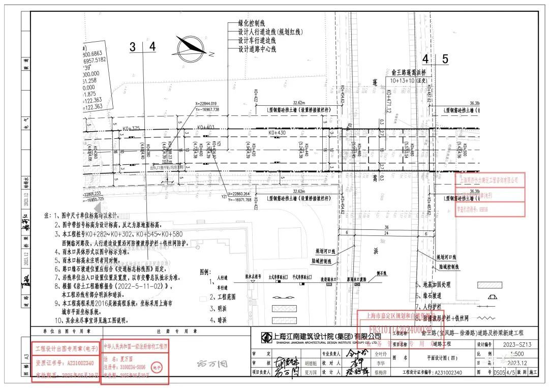
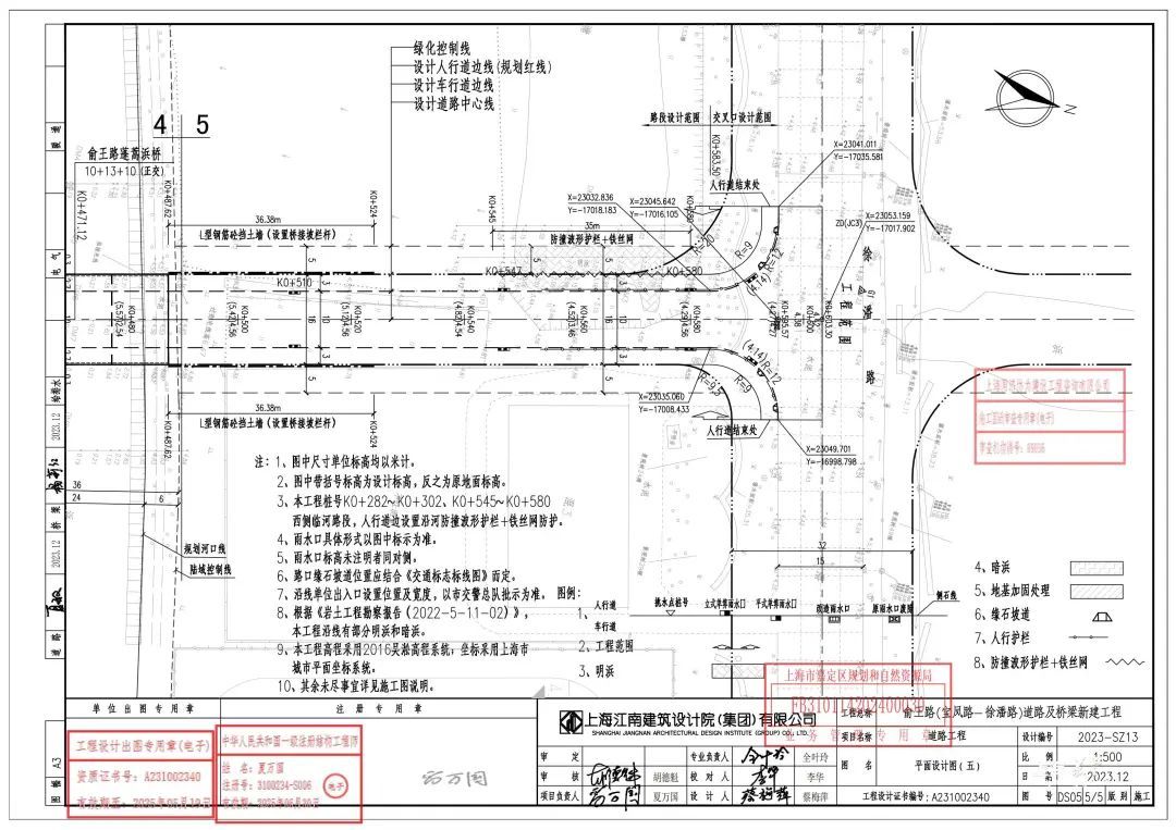
俞王路(宝凤路-徐潘路)道路及桥梁新建工程

建设位置
嘉定区徐行镇
东至道路红线,南至宝凤路
西至道路红线,北至徐潘路
建设规模
新建道路全长约603米,宽16米,新建桥梁1座

平面设计图(一)

平面设计图(二)

平面设计图(三)

平面设计图(四)


平面设计图(五)
通讯员:嘉小规
编辑:王子艳(实习)
喜欢就点个“赞”和“在看”吧~↓↓↓↓
上观号作者:上海嘉定
2024-02-22 13:05


@嘉定的小伙伴
徐行镇将新建道路及桥梁
具体如下↓
建设单位
上海市嘉定区徐行镇人民政府
建设项目名称
俞王路(宝凤路-徐潘路)道路及桥梁新建工程

建设位置
嘉定区徐行镇
东至道路红线,南至宝凤路
西至道路红线,北至徐潘路
建设规模
新建道路全长约603米,宽16米,新建桥梁1座

平面设计图(一)

平面设计图(二)

平面设计图(三)

平面设计图(四)


平面设计图(五)
通讯员:嘉小规
编辑:王子艳(实习)
喜欢就点个“赞”和“在看”吧~↓↓↓↓
上观号作者:上海嘉定