咱们浦东的动迁安置房项目有了新动态
——“浦东新区宣桥镇25号单元
01-03地块动迁安置房项目”
的规划设计方案正在公示中,
小编准备了“新鲜出炉”的
效果图和详情,
一起来看~
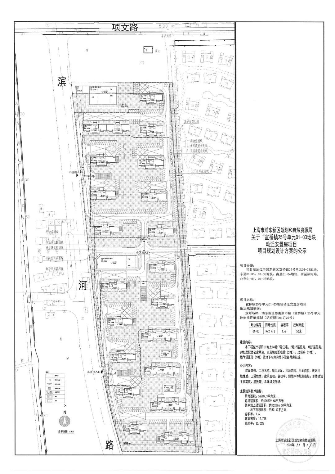
项目名称
浦东新区宣桥镇25号单元
01-03地块动迁安置房项目
项目介绍
项目基地位于宣桥镇25号单元01-03地块,东至01-05、01-06地块,南至01-04地块,西至滨河路,北至01-01、01-02地块。
公示图

规划依据
浦东新区惠南新市镇(宣桥镇)25号单元控制性详细规划(沪府规[2012]22号)


建设内容
本工程整个项目由地上14幢17层住宅,2幢15层住宅,4幢8层住宅,2幢3层配套公建用房,以及独立配电站(2幢)、垃圾房(1幢)、燃气调压站(1幢)及地下车库和地下设备用房组成。
主要经济技术指标
用地面积:59287.3平方米
总建筑面积:135539.68平方米
容积率:1.6
建筑密度:17.71%
绿地率:35%


宣桥镇即将新增的动迁安置房
总建筑面积超过13万平方米,
布局了20幢住宅。
这个小区内绿化率较高,
西边距离河道不远,环境优美。
期待该小区的早日建成落地,
聚集起一个个温暖家庭~

来源:浦东规土
上观号作者:上海规划资源